21°C
Erechim,RS
Previsão completa
0°C
Erechim,RS
Previsão completa

Publicidade

Erechim

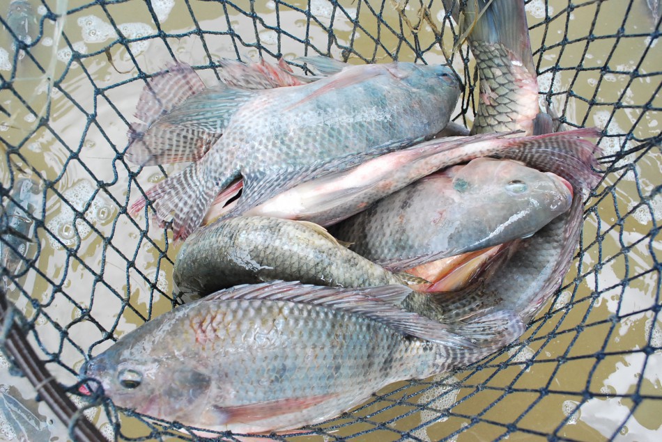
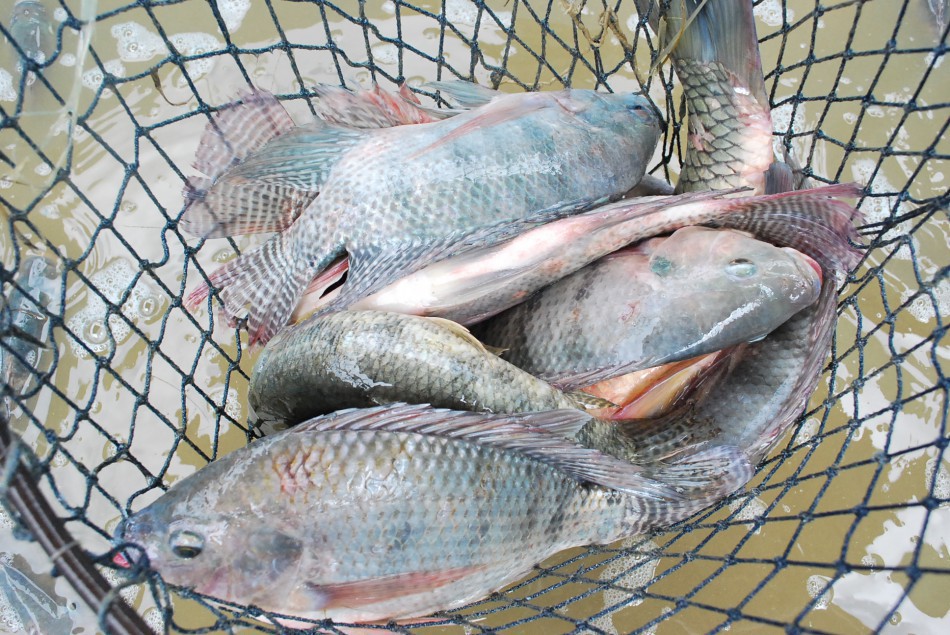
Feira do peixe vivo é atração na Semana Santa em Erechim

teste
Peixes
Por Assessora de Imprensa
Foto Divulgação

Numa realização do Município, através da Secretaria Municipal da Agricultura, será aberta na próxima terça-feira (16), junto a Feira do Produtor, a comercialização de peixes vivos para a Semana Santa, que se estende até a sexta-feira (19).

Nos dias 16, 17 e 18 o atendimento será das 7h até às 19h e na sexta feira das 7h às 12h. Serão disponibilizadas diversas espécies, como Carpas, Jundiá, Tilápia, Dourado, entre outras. Os valores não foram reajustados e ficarão entre R$ 10 a R$ 29, conforme a espécie.

Leia também

Publicidade

Publicidade

Blog dos Colunistas

;